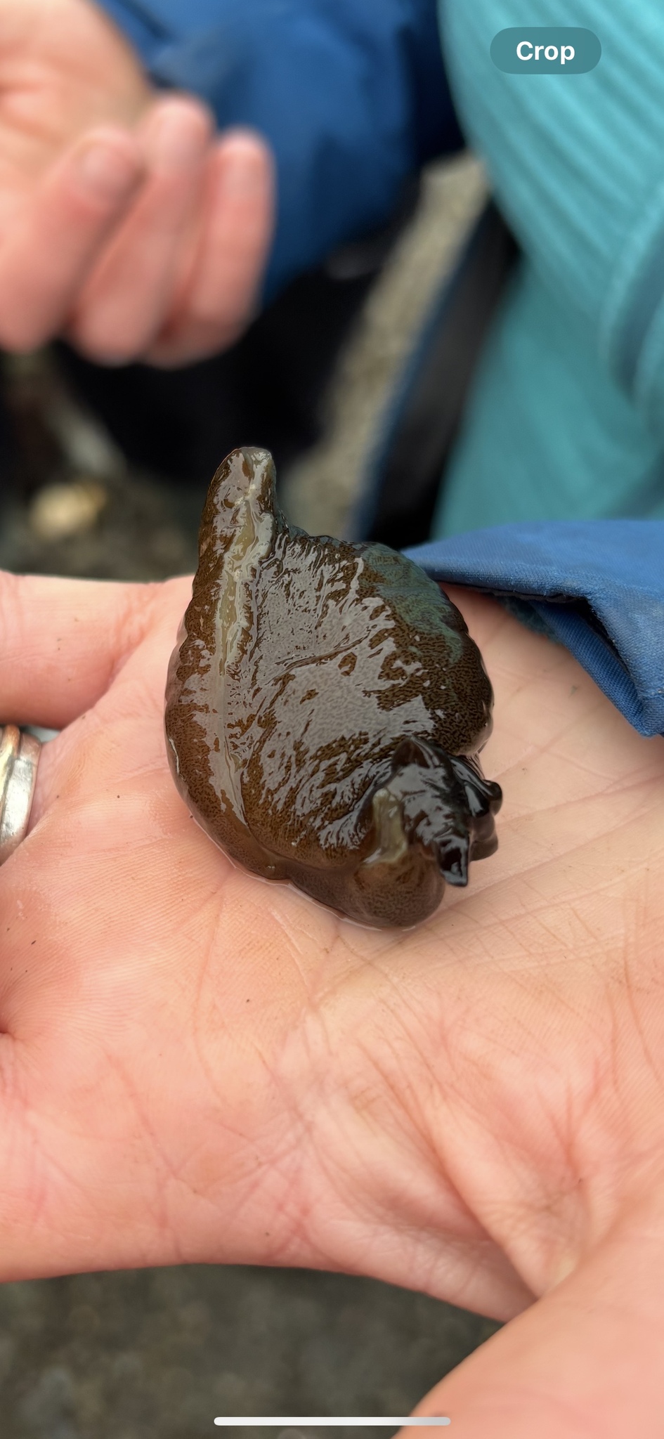
Sea Hare (Aplysia punctata)

Our January species of the month is the sea hare (Aplysia punctata). Sea hares are a marine snail often found on rocks and seaweed during low tide. Their common name comes from the direct translation of the Latin lepus marinus, given because their upper tentacles were thought to resemble the ears of a rabbit. To camouflage within their environment, sea hares change colour depending on the type of seaweed they feed on. In Alderneys waters, they tend to have a reddish-maroon hue due to the diet of red and brown seaweed. Some specimens have been found at 20 cm in length, but the typical size is around 7 cm.

While the sea hare may look like a sea slug, it is in fact a snail whose soft internal shell guards its vital organs. Like the sea slug the sea hare is hermaphroditic, sometimes mating in chains with individuals acting as both male and female. They lay long pink strings of eggs that have been compared to pink spaghetti.

This piece was written with help from Marine Citizen Scientist Lou Collings, and the images were provided by Nicolas Jouault. If you spot any interesting species around Alderney please send them in. We’d love to see them!

Species Details

Species name
Aplysia punctata (Cuvier, 1803)
Common name
Sea hare
Taxonomy
Animalia :: Anaspidea :: Aplysiidae

Explore map

Temporal distribution - records by year

Records that span more than one year are not included in this chart.

Temporal distribution - records by week